In 2007 the majority of Myricks Airport land was placed under a Conservation Restriction with The Trustees of Reservations. Five building lots were withheld from the CR to be sold to aviation enthusiasts. In addition there is an aviation corridor where additional hangars and fuel stations may be built. The CR is the cornerstone of the preservation of the airport and the Foundation. The Trustees of Reservations has graciously accepted the responsibility of inspections and reports required. If there are questions please contact the Foundation principals or at their General Information email: information@thetrustees.org. TTOR is greatly appreciated and vital to the purposes of the Foundation.
There is quite a bit of tedious material in the CR. The recreational use of motorized vehicles is prohibited. The operation of tractors and related farm equipment and inspection of the property by vehicle is not restricted. The property has been hayed twice a year for thirty-five years by Doug Stetson and is currently under Arthur Lopes care.
Airport Property
Hay fields and Trees
Habit for many species.
Runway 9
CONSERVATION RESTRICTION
To
The Trustees of Reservations
Myricks Airport
168 Padelford Street, Berkley, MA
12/18/07 11:57 587 1 OF 18
Murray W. Randall, with an address of 168 Padelford Street, Berkley, MA 02779, being
the sole owner of the granted premises and intending hereby to bind himself and his heirs,
successors and assigns, who, together with the said Murray W. Randall, are collectively
referred to herein as "Grantor", acting pursuant to Sections 31, 32, and 33 of Chapter 184
of the Massachusetts General Laws, hereby grants, with quitclaim covenants, to The
Trustees of Reservations, a Massachusetts charitable corporation established under
Chapter 352 of the Acts of 1891, qualified to hold Conservation Restrictions in
accordance with Chapter 184 of the Massachusetts General Laws, and having an address
at 572 Essex Street, Beverly, Massachusetts 01915, its permitted successors and assigns
("Grantee"), in perpetuity and exclusively for conservation purposes, the following
described Conservation Restriction (hereinafter, the "Conservation Restriction" or the
"Restriction") on a parcel of land of approximately 44.63 acres located in the Town of
Berkley, Massachusetts, said parcel being described in Exhibit A attached ("Premises").
For Grantor's title to the Premises, see Bristol County (Northern District) Registry of
Deeds Book 2218, Page 32 and Book 4817, Page 332.
Purpose. This Conservation Restriction is defined in and authorized by Sections 31-33 of
Chapter 184 of the Massachusetts General Laws and otherwise by law. Its purpose is to
assure that the Premises will be retained in perpetuity predominantly in their natural,
scenic, and open condition and to prevent any use of the Premises that will significantly
impair or interfere with the conservation values of the Premises. The public benefits
resulting from conservation of the Premises include, without limitation:
(1) Scenic Protection. The Premises comprise part of a highly scenic
rural landscape visible from Padelford Street and Holloway Street, which
scenic character the TO\\<TI of Berkley advocates protecting in its most
recently completed Open Space and Recreation Plan (May 2002).
Conservation of the Premises will preserve the scenic view over the
existing fields along these public roads.
(2) Habitat and Rare Species Protection. The Premises include a
diverse array of habitats (including open fields, wetlands, upland scrub
and upland forest) used by a variety of plants and wildlife, which habitats
constitute a significant natural area that qualifies as a " ... relatively natural
habitat of fish, wildlife, or plants, or similar ecosystem," as that phrase is
1.
used in P.L. 96-541, 26 USC 170(h)(4)(A)(ii), as amended, and in
regulations promulgated thereunder. Conservation of the Premises will
contribute to the preservation of designated habitat for the Eastern Box
Turtle (Terrapene Carolina) and the Wood Turtle (Glyptemys Insculpta),
both state-listed species of special concern, as recorded by the
Massachusetts Natural Heritage and Endangered Species Program.
(3) Water Quality Protection. The Premises include approximately
1,570 feet of frontage on Cotley Brook (also known as Holloway Brook),
which is a tributary of the Taunton River. Conservation of the Premises
will contribute to the protection of water quality in Cotley Brook by
creating a setback for certain activities that commonly degrade water
quality, such as storm water runoff and septic discharge, and by reducing
the number of permitted dwellings, thereby reducing runoff commonly
associated with such dwellings.
(4) Soil Protection. The Premises include approximately ten acres of
Hinckley gravelly sandy loam (3-8% slopes), approximately sixteen acres
of Hinckley sandy loam (0-3% slopes) and approximately eight acres of
Deerfield loamy sand (0-3% slopes), all Class II farmland soils of state or
local importance, according to the Bristol County Soil Survey of the
Natural Resources Conservation Service. Protection of the Premises will
help preserve these soil resources for future agricultural use.
(5) Furtherance of Government Policy, Berkeley. Protection of the
Premises is consistent with the Town of Berkley's most recently
completed Open Space and Recreation Plan (May 2002) which identifies
Myricks Airport as one of Berkley's open space priorities for protection
and advocates to maintain the rural and unspoiled character of Berkley
(Goal 1), the protection of Berkley's critical natural resources and habitats
(Goal 2), and to provide more recreation opportunities (Goal 3).
(6) Protection of Recreational Resources. The Restriction grants to the
Grantee the right to make the Premises available to the public for outdoor
non-motorized recreational use. Preservation of the Premises
predominantly in its natural condition will preserve the natural setting for
the public's use and enjoyment.
The endangered Lady Slipper
We never considered this an elitist habitat however
The terms of this Restriction are as follows:
A. Prohibited Uses. Except as to reserved rights set forth in paragraph B below, the
Grantor will neither perform nor allow others to perform the following acts and uses,
which are expressly prohibited on, above and under the Premises:
(1) Constructing, placing or allowing to remain any temporary or permanent
building, tennis court, landing strip, mobile home, swimming pool, asphalt
2.
or concrete pavement, sign, fence, billboard or other advertising display,
antenna, utility pole, tower, conduit, line or other temporary or permanent
structure or facility on, above or under the Premises;
(2) Mining, excavating, dredging or removing from the Premises of soil,
loam, peat, gravel, sand, rock or other mineral resource or natural deposit;
alteration of the existing natural topography of the Premises; withdrawal
of surface or ground water from the Premises, other than for use on the
Premises.
(3) Placing, filling, storing or dumping on the Premises of soil, refuse, trash,
vehicle bodies or parts, rubbish, debris, junk, waste or other substance or
material whatsoever or the installation of underground storage tanks;
( 4) Cutting, removing or otherwise destroying trees, shrubs, grasses or other
vegetation;
(5) Activities detrimental to drainage, flood control, water conservation, water
quality, erosion control, soil conservation, or archaeological conservation,;
(6) The use of motorcycles, motorized trail bikes, all terrain vehicles,
snowmobiles and all other motor vehicles.
Mosquito suppression
(7) The use of the Premises for more than a de minimis commercial
recreational activity, as defined in the Internal Revenue Code of 1986, as
amended, and in the Regulations promulgated pursuant thereto;
(8) Conveyance of a part or portion of the Premises alone, or division or
subdivision of the Premises (conveyance of the Premises in its entirety
shall be permitted);
(9) The use of the Premises for subsequent transferal of development rights to
any property, whether or not adjacent to the Premises, or for use in any
calculations involving further development of any other property, whether
or not adjacent to the Premises, in any manner whatsoever.
(10) Any other use of the Premises or activity thereon that is inconsistent with
the purpose of this Restriction or that would materially impair significant
conservation interests unless necessary for the protection of the
conservation interests that are the subject of this Restriction.
B. Reserved Rights. All acts and uses not prohibited in paragraph A are permissible.
Notwithstanding the provisions of paragraph A above, the Grantor reserves the
right to conduct or permit the following acts and uses on the Premises, but only if
such uses and activities do not materially impair the purpose of this Conservation
Restriction or other significant conservation interests:
This is not an atheist resident
3.
(1) Recreation. Hunting, fishing, hiking, horseback riding, cross-country
skiing and other non-motorized outdoor recreational activities that do not
materially alter the landscape, degrade environmental quality, or involve
more than de minimis use for commercial recreational purposes.
(2) Trails. The construction, maintenance, and marking of trails for
pedestrian use and horseback riding, including, with prior written notice to
Grantee, the construction, maintenance and marking of boardwalk trails.
(3) Agricultural Activities. Agricultural, horticultural and animal husbandry
operations carried on in accordance with sound agricultural management
practices (including without limitation the cultivation of existing fields,
the mowing and grazing of existing meadows and the installation of sightpervious
fences), except within a buffer area (hereafter "Riparian Zone")
which shall be defined as being that area within Two Hundred (200) feet
of Cotley Brook. In no case shall livestock be permitted within the
Riparian Zone or within fifty (50) feet of any wetland on the Premises.
Only with prior written approval of Grantee shall upland forested areas be
cleared for agricultural use. Non-point source pollution shall be taken into
account when considering such requests and in determining whether an
agricultural management practice is sound. No agricultural management
practice shall be considered unsound if it is conducted in accordance with
a farm conservation plan prepared by the u.s. Department of Agriculture
Natural Resources Conservation Service (or its successor agency) ("Farm
Plan"), which plan is reviewed and updated whenever a substantial change
in operations is contemplated. Meadows may be mown for nonagricultural
purposes, as well, such as for aesthetic, wildlife or recreational
purposes, provided that no meadow is mown more than three times each
year. Other than the installation of fences, gates and the structures
specifically permitted elsewhere in paragraph B on the Premises, which
shall be permitted, this paragraph does not intend to reserve the right to
construct, place, use, maintain, repair or replace any temporary or
permanent structures, whether or not related to agricultural, horticultural
and animal husbandry operations.
(4) Grass Airstrip. The use, expansion, maintenance, repair and replacement
of the existing grass airstrip for aircraft operation, (including, but not
limited to regular mowing of the airstrip and associated areas) provided,
however, that the airstrip shall not be expanded more than 25% beyond the
existing footprint area of such airstrip as of the date of this instrument,
without the prior written permission of the Grantee. Aircraft operation for
commercial and non-commercial purposes shall be permitted including but
not limited to aerial advertising, agricultural applications, sight seeing,
flight instruction and charter flights. Construction of any nature required
to meet insurance or governmental security requirements for "Class 3"
4.
airports, as defined by the Massachusetts Aeronautics Commission or its
successor agency, shall be permitted with prior written notice to the
Grantee. Expansion or conversion of the airstrip to a paved or otherwise
improved surface shall not be permissible, unless specifically required by
a government agency and approved in writing by Grantee.
Early one morning
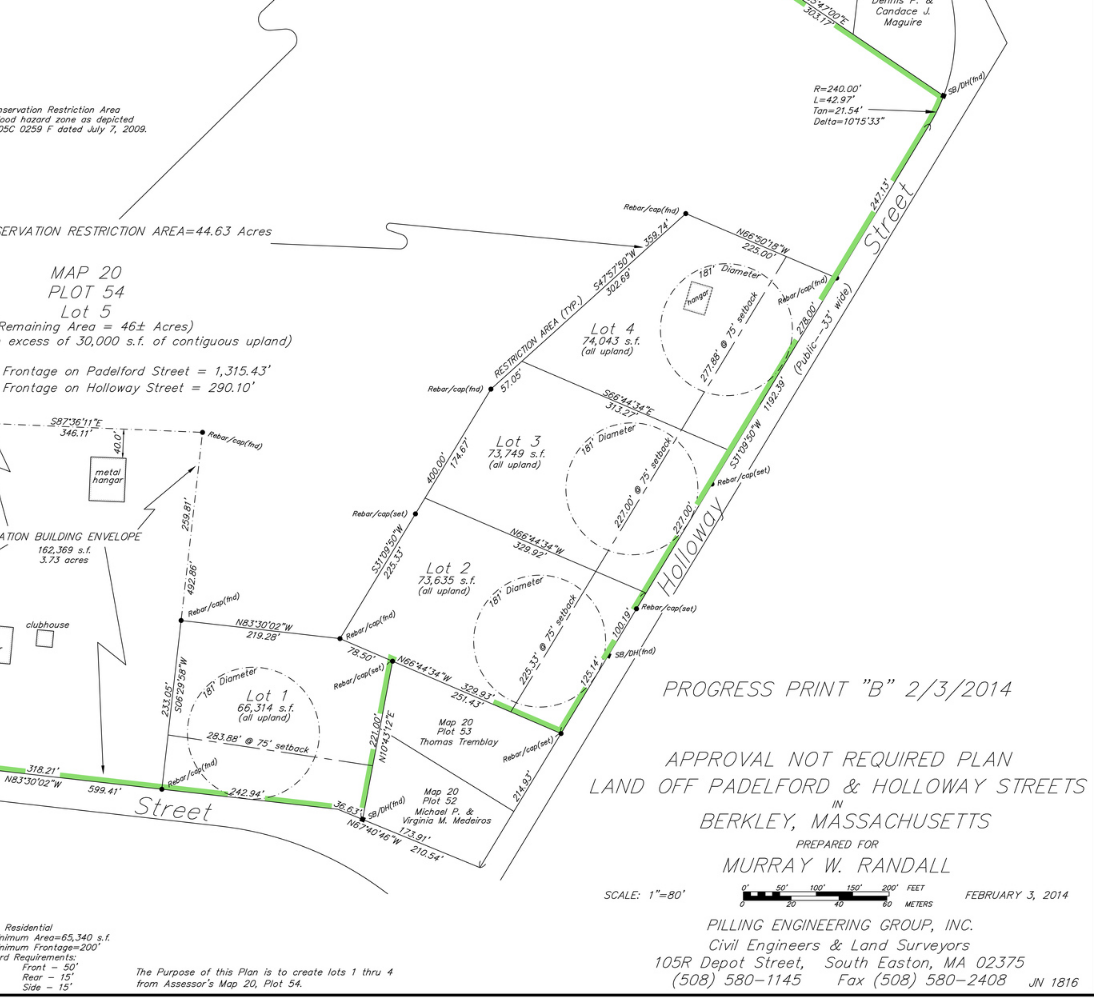
(5) Aviation Building Envelope. Within the 3.73 acre area identified as the
"Aviation Building Envelope" on a Plan entitled: "Plan of Conservation
Restriction Area in Berkley, Massachusetts Prepared for Murray W.
Randall" by Pilling Engineering Group, Inc., which plan is recorded
herewith and a reduced copy of which is attached hereto for reference
purposes as Exhibit B (hereafter the "Aviation Building Envelope"), the
use, expansion, maintenance, repair and replacement of the existing
hangars, underground fuel storage tank and other existing outbuildings for
the operation of Myricks Airport, a day-use, "Class 3" airport, as defined
by the Massachusetts Aeronautics Commission. The addition of new
structures within the Aviation Building Envelope, including an
underground or above-ground fuel storage tank, shall be permitted with
prior written notice to the Grantee, provided that use of such structures are
related to the operation of Myricks Airport. Use of any existing or future
structures in the Aviation Building Envelope for residential purposes is
expressly prohibited.
(6) Driveways. The construction, maintenance and use of existing driveways
and new driveways to serve the structures permitted in Paragraph B (4)
and any structures within the Aviation Building Envelope. For the
purposes of this Conservation Restriction, a driveway a) may be no wider
than a single lane, b) shall be unpaved, c) may be improved to the extent
necessary for regular vehicular use, and d) shall only be improved with
pervious materials.
(7) Utilities. The installation, maintenance, repair, and replacement of utility
lines (including without limitation, electricity, telephone, cable, and gas)
to service the structures permitted in Paragraph B(4) and any structures
within the Aviation Building Envelope. With the exception of existing
utility lines, which may remain above ground, all such utilities must be
underground. Above ground, utility-related structures (for example, a
transformer) shall be allowed with the prior written approval of Grantee
upon a showing that no practical underground alternative exists.
(8) Forestry. In accordance with generally accepted forestry management
practices, (a) selective pruning and cutting to prevent, control or remove
hazards, disease or insect damage, fire, or to preserve the present condition
of the Premises, including vistas, stone walls, woods roads and trails; (b)
selective harvesting of trees to provide firewood for use on the Premises or
on adjacent lands owned by the Grantor at the time of this grant; (c)
5.
forestry actIvItIes recommended in a Farm Plan; (d) forestry activities
necessary to maintain safe access for aircraft operation and (e) the cutting
and harvesting of trees for any purpose, including without limitation
commercial timber production on a sustained yield basis, but only if
carried out in accordance with a plan prepared by a professional forester
and submitted for review to the Grantee that is designed to protect the
conservation values of the Premises, including without limitation, water
quality and wildlife habitat values.
(9) Brush Piles. The stockpiling, compo sting and occasional burning of
stumps, tree and brush limbs and similar biodegradable materials
originating on the Premises in locations where the presence of such
activities will not have a deleterious impact on the purposes (including
scenic values) of this Conservation Restriction.
(10) Stone Walls. With prior written notice to Grantee, the removal of
boulders and large stones from the property if their continued presence
interferes with the productivity of the fields and/or the scenic qualities of
the property. Also, the right to maintain, remove or alter stone walls only
to the extent necessary: (a) to gain entrance to a portion of the Premises
for the purposes related to the reserved rights in paragraph B, and (b) to
reconstruct or improve existing stone walls with walls of the same type
and keep them free of vegetation.
(11) Habitat Restoration. The removal of non-native flora and interplanting of
indigenous species, and with prior written approval of Grantee, measures
designed to restore native biotic communities, or to maintain, enhance, or
restore wildlife, wildlife habitat, or rare or endangered species, including
the control of noxious, nuisance, or non-native plant or animal species.
The erection of poles and houses for bird nesting is permitted.
(12) Archeological Activities. The conduct of archeological actIVItIes,
including without limitation survey, excavation, and artifact retrieval,
following submission of an archeological field investigation plan and its
approval by the Grantee and the State Archeologist of the Massachusetts
Historical Commission (or appropriate successor official).
Doug Stetson Bailing Stampe Taxing. Doug was an instrument pilot
(13) Motorized Transportation. The use of motorized vehicles (a) for the
personal use of the owners of the Premises and their guests, exclusively
for purposes related to those rights reserved in paragraph B, and (b) as
required by the police, firemen or other governmental agents in carrying
out their lawful duties.
(14) Signage. The erection, maintenance, and replacement of signs with
respect to hunting, trespass, trail access, identity and address of the
6.
property and owners, sale of the Premises, the Grantee's interest in the
Premises, and the protected conservation values.
The exercise of any right reserved by Grantor under this paragraph B shall be in
compliance with the then-current Zoning By-Law of the Town of Berkley, the Wetlands
Protection Act (Massachusetts General Laws Chapter 131, Section 40, the Rivers
Protection Act (an amendment to MGL Chapter 131, Section 40), and with all other
applicable federal, state and local law. The inclusion of any reserved right in this
paragraph B requiring a permit from a public agency does not imply that the Grantee or
the Commonwealth takes any position on whether such permit should be issued.
C. Discretionary Consent. Grantee's consent for activities otherwise prohibited
under paragraphs A or B, above, may be given under the following conditions and
circumstances: If, owing to unforeseen or changed circumstances, any activities
prohibited or possibly prohibited by paragraph A or B are deemed desirable by Grantor
and Grantee, Grantee may, in its sole discretion, give permission for such activities,
subject to the limitations herein. Such requests for permission shall be in writing.
Grantee may give its permission only if it determines, in its sole discretion, that such
activities (l) do not violate the purpose of this Conservation Restriction and (2) either
enhance or do not significantly impair the conservation values associated with the
Premises. Notwithstanding the foregoing, the Grantee and Grantor have no right or
power to agree to any activities that would result in the termination of this Conservation
Restriction or that would cause it to fail to qualify as a valid easement under the
requirements of Section 170(h) of the Internal Revenue Code, as it may be amended,
governing "Qualified Conservation Contributions," including any regulations issued
pursuant thereto, or under the requirements of Massachusetts General Laws Chapter 184,
Sections 31-33. Under no circumstances shall any additional residential, commercial or
industrial structures or any commercial, commercial recreational, or industrial activities
not otherwise allowed herein be allowed on the property pursuant to this paragraph.
D. Notice and Approval. Whenever notice to or approval by Grantee is required
under the provisions of paragraphs A or B, Grantor shall notify Grantee in writing not
less than sixty (60) days prior to the Grantor's commencement of the activity in question.
The notice shall describe the nature, scope, design, location, timetable and any other
material aspect of the proposed activity in sufficient detail to permit Grantee to make an
informed judgment as to its consistency with the purposes of this Restriction. Where
Grantee's approval is required, Grantee shall grant or withhold its approval in writing
within sixty (60) days of receipt of Grantor's written request therefore. Grantee's
approval shall not be unreasonably withheld, but shall be granted only upon a showing
that the proposed activity will not materially impair the purposes of this Restriction.
Failure of Grantee to respond in writing within such 60 days shall be deemed to
constitute approval by Grantee of the request as submitted, so long as the request sets
forth the provisions of this section relating to deemed approval after the passage of time.
7.
Canada Lily
E. Extinguishment.
1. Grantee's Receipt of Property Right. The Grantor and the Grantee agree
that the donation of this Conservation Restriction gives rise for purposes of this
paragraph to a real property right, immediately vested in the Grantee, with a fair market
value that is equal at least to the proportionate value that this Conservation Restriction,
determined at the time of the gift, bears to the value of the unrestricted Premises at that
time.
2. Value of Grantee's Property Right. Such proportionate value of the
Grantee's property right shall remain constant.
3. Right of Grantee to Recover Proportional Value at Disposition. If
circumstances arise in the future that render the purpose of this Restriction impossible to
accomplish, this Restriction can be terminated, released or extinguished, whether in
whole or in part, only by proceedings consistent with MGL 184 or judicial proceedings in
a court of competent jurisdiction. In case of any such extinguishment or other release of
the Restriction, then Grantee, on a subsequent sale, exchange or involuntary conversion
of the Premises, shall be entitled to a portion of the proceeds in accordance with
paragraphs E.l and E.2, above, subject, however, to any applicable law that expressly
provides for a different disposition of proceeds. Grantee shall use its share of the
proceeds in a manner consistent with the conservation purpose set forth herein.
4. Grantor/Grantee Cooperation Regarding Public Action. Whenever all or
any part of the Premises or any interest therein is taken by public authority under power
of eminent domain or other act of public authority, then the Grantor and the Grantee shall
cooperate in recovering the full value of all direct and consequential damages resulting
from such action.
Apple blossoms at the woods edge
5. Allocation of Expenses upon Disposition. All related expenses incurred by
the Grantor and the Grantee shall first be paid out of any recovered proceeds, and the
remaining proceeds shall be distributed between the Grantor and the Grantee in shares
proportional to their interests in the Premises, as described in paragraphs E.l and E.2,
above.
F. Access. The Restriction hereby conveyed does not grant to Grantee, to the
public generally, or to any other person any right to enter upon the Premises except as
follows:
(l) Grantor hereby grants to the Grantee and its representatives the right to
enter the Premises (a) at reasonable times and in a reasonable manner for the
purpose of regular monitoring and inspecting the same to determine
compliance herewith, including the right to access the Premises over roads
and rights of way owned by the Grantor and any rights of way or other access
ways now or hereafter available to Grantor for access to the Premises, and (b)
after 30 days' prior written notice, to take any and all actions with respect to
the Premises as may be necessary or appropriate, with or without order of
court, to remedy, abate or otherwise enforce any violation hereof.
8.
(2) Grantor grants to the Grantee the right to establish walking trails on the
Premises and to permit the public to utilize said walking trails for nonmotorized
recreational use. Grantor and Grantee reserve the right to re-route
or temporarily close publicly accessible trails in order to protect the
conservation values of the Premises, or the privacy of the Grantor, but only
where no other reasonable measures exist to protect the conservation values or
Grantor's privacy.
G. Legal Remedies of Grantee. The rights hereby granted shall include the right
to enforce this Restriction by appropriate legal proceedings and to obtain injunctive and
other equitable relief against any violations, including without limitation relief requiring
restoration of the Premises to their condition prior to such violation (it being agreed that
Grantee will have no adequate remedy at law). The rights hereby granted shall be in
addition to, and not in limitation of, any other rights and remedies available to Grantee.
Grantor covenants and agrees to reimburse Grantee for all reasonable costs and expenses
(including without limitation reasonable counsel fees) incurred in enforcing this
Restriction or in taking reasonable measures to remedy or abate any violation thereof,
provided that a violation of this Restriction is acknowledged by Grantor or determined by
a court of competent jurisdiction to have occurred. By its acceptance of this
Conservation Restriction, Grantee does not undertake any liability or obligation relating
to the condition of the Premises, including with respect to compliance with hazardous
materials or other environmental laws and regulations. Enforcement of the terms of this
Conservation Restriction shall be at the discretion of the Grantee. Any election by the
Grantee as to the nature and timing of its actions pursuant to its right to enforce this
Conservation Restriction or otherwise as to the exercise of its rights hereunder shall not
be deemed or construed to be a waiver of such rights.
H. Acts Beyond Grantor's Control. Nothing contained in this Restriction shall be
construed to entitle Grantee to bring any action against Grantor for any injury to or
change in the Premises resulting from causes beyond the Grantor's control, including, but
not limited to, fire, flood, storm and earth movement, or from any prudent action taken by
Grantor under emergency conditions to prevent, abate, or mitigate significant injury to
the Premises resulting from such causes.
I. Duration and Assignability. The burdens of this Restriction shall run with the
Premises and shall be enforceable against Grantor in perpetuity. Grantee is authorized to
record or file any notices or instruments appropriate to assuring the perpetual
enforceability of this Restriction. The Grantor appoints the Grantee its attorney-in-fact to
execute, acknowledge and deliver any such instruments on its behalf. Without limiting
the foregoing, the Grantor agrees itself to execute any such instruments upon request.
The benefits of this Restriction shall be in gross and shall not be assignable by Grantee,
except in the following instances from time to time: (i) as a condition of any assignment,
Grantee requires that the purpose of this Restriction continue to be carried out, (ii) the
assignee, at the time of assignment, qualifies under Section 170(h) of the Internal
Revenue Code of 1986, as amended, and applicable regulations thereunder, and under
9.
Newport RI while banner towing
Section 32 of Chapter 184 of the Massachusetts General Laws, as an eligible donee to
receive this Restriction directly, and (iii) Grantee complies with the provisions required
by Article 97 of the Amendments to the State Constitution, if applicable. Grantor and
Grantee intend that the restrictions arising hereunder shall take effect when all requisite
signatures pursuant to Section 32 of Chapter 184 of the General Laws have been obtained
and the document has been recorded in the Bristol County (Northern District) Registry of
Deeds. This Restriction shall be recorded in a timely fashion.
J. Subsequent Transfers. Grantor agrees to incorporate by reference the terms of
this Restriction in any deed or other legal instrument by which Grantor conveys any
interest in all or a portion of the Premises, including, without limitation, a leasehold
interest. Grantor further agrees to give written notice to Grantee of the proposed transfer
of any such interest at least twenty (20) days prior to the date of such transfer. Failure of
Grantor to do so shall not impair the validity of this Restriction or limit its enforceability
m any way.
K. Termination of Rights and Obligations. Notwithstanding anything to the
contrary contained herein, the rights and obligations under this Restriction of any party
holding any interest in the Premises terminate upon transfer of that party's interest,
except that liability for acts or omissions occurring prior to transfer, and liability for the
transfer itself if the transfer is in violation of this Restriction, shall survive the transfer.
L. Estoppel Certificates. Upon request by Grantor, Grantee shall within fortyfive
(45) days execute and deliver to Grantor any document, including an estoppel
certificate, that certifies the status of Grantor's compliance with any obligation of Grantor
contained in this Restriction, and that otherwise evidences the status of this Restriction as
may be requested by Grantor.
Does Arlene exhibit some reluctance here?
M. Amendment. If circumstances arise under which an amendment to or
modification of this Conservation Restriction would be appropriate, Grantor and Grantee
may jointly amend this Conservation Restriction; provided that no amendment shall be
allowed that will affect the qualification of this Conservation Restriction or the status of
Grantee under any applicable laws, including Section 170(h) of the Internal Revenue
Code of 1986 as amended, or Sections 31-33 of Chapter 184 of the General Laws of
Massachusetts. Any amendment shall occur only in exceptional circumstances. Any
amendment shall be consistent with the purposes of this Conservation Restriction, and
shall not affect its perpetual duration, shall be approved by the Secretary of Energy and
Environmental Affairs or as required by applicable statutes in effect at the time of the
proposed amendment and, if applicable, shall comply with the provisions of Art. 97 of
the Amendments to the Massachusetts Constitution. Any such amendment shall be
recorded in the Bristol County (North District) Registry of Deeds.
N. Effective Date. This Conservation Restriction shall be effective when the
Grantor and the Grantee have executed it, the administrative approvals required by
Section 32 of Chapter 184 of the General Laws have been obtained, and it has been
recorded in the Bristol County (North District) Registry of Deeds.
10.
O. Notices. Any notice, demand, request, consent, approval, or communication
that either party desires or is required to give to the other shall be in writing and either
served personally or sent by first class mail, postage pre-paid, addressed to the address of
the notified party last known to the party giving notice.
P. Miscellaneous.
(1) Controlling Law. The interpretation and performance of this Restriction
shall be governed by the laws of the Commonwealth of Massachusetts.
(2) Liberal Construction. Any general rule of construction to the contrary
notwithstanding, this Restriction shall be liberally construed in favor of
the grant to effect the purpose of this Restriction and the policy and
purpose of Mass. Gen. Laws Chapter 184, Sections 31-33. If any
provision in this instrument is found to be ambiguous, an interpretation
consistent with the purpose of this Restriction that would render the
provision valid shall be favored over any interpretation that would render
it invalid.
(3) Severability. If any provision of this Restriction shall to any extent be
held invalid, the remainder shall not be affected.
(4) Entire Agreement. This instrument sets forth the entire agreement of the
parties with respect to the Restriction and supersedes all prior discussions,
negotiations, understandings, or agreements relating to the Restriction, all
of which are merged herein.
(5) Joint Obligation. The obligations imposed by this Restriction upon the
parties that together comprise "Grantor" shall be joint and several.
(6) Captions. The captions in this instrument have been inserted solely for
convenience of reference. They are not a part of this instrument and shall
have no effect upon construction or interpretation.
(7) Pre-existing rights of the Public. Approval of this Restriction pursuant to
M.G.L Chapter 184, Section 32 by any municipal officials and by the
Secretary of Environmental Affairs is not to be construed as representing
the existence or non-existence of any pre-existing rights of the public, if
any, in and to the Premises. Any such pre-existing rights of the public, if
any, are not affected by the granting of this Restriction.
(8) No Merger. The parties intend that any future acquisition of the Premises
shall not result in a merger of the Conservation Restriction into the fee. .
No assignment of Grantor's or Grantee's interest in the Premises and no
acquisition of any additional interest in the Premises by Grantor or
11.
Grantee shall cause this Restriction to merge with the fee or have the
effect of causing any of the terms hereof to be rendered unenforceable by
reason of the so-called "doctrine of merger."
(9) Baseline Documentation. In order to establish the present condition of the
Premises and the conservation values thereon which are protected by this
Conservation Restriction, so as to be able to properly monitor future uses
of the Property and assure compliance with the terms hereof, Grantor and
Grantee have prepared an inventory of the relevant features and conditions
of the Premises (the "Baseline Documentation Report"), and have certified
the same as an accurate representation of the condition of the Premises.
(10) Subordination. Grantor represents, and Grantee relies on Grantor's
representation, that the Premises are free from any lien, encumbrance, or
other interest by any third party in the Premises, except as set forth in
Exhibit A. Any such interests which would disqualify this conveyance for
treatment as a qualified conservation contribution in accordance with
Section 170(h) of the Internal Revenue Code of 1986, as amended, and
applicable regulations thereunder, are subordinated to this Conservation
Restriction by subordination documents recorded herewith.
No documentary stamps are required, as this Restriction is a gift.
12.
Executed under seal this ,2007.
COMMONWEALTH OF MASSACHUSETTSpursuant to M.G.L. Chapter
184, Section 32.
COMMONWEALTH OF MASSACHUSETTS
LIABILITY LIMITATION LAW
MGL Chapter 21
Section 17C. (a) Any person having an interest in land including the structures, buildings, and equipment attached to the land, including without limitation, railroad and utility corridors, easements and rights of way, wetlands, rivers, streams, ponds, lakes, and other bodies of water, who lawfully permits the public to use such land for recreational, conservation, scientific, educational, environmental, ecological, research, religious, or charitable purposes without imposing a charge or fee therefor, or who leases such land for said purposes to the commonwealth or any political subdivision thereof or to any nonprofit corporation, trust or association, shall not be liable for personal injuries or property damage sustained by such members of the public, including without limitation a minor, while on said land in the absence of wilful, wanton, or reckless conduct by such person. Such permission shall not confer upon any member of the public using said land, including without limitation a minor, the status of an invitee or licensee to whom any duty would be owed by said person.
(b) The liability of any person who imposes a charge or fee for the use of his land by the public for the purposes described in subsection (a) shall not be limited by any provision of this section. For the purposes of this section, “person” shall include the person having any interest in the land, his agent, manager or licensee and shall include, without limitation, any governmental body, agency or instrumentality, a nonprofit corporation, trust, association, corporation, company or other business organization and any director, officer, trustee, member, employee, authorized volunteer or agent thereof. For the purposes of this section, “structures, buildings and equipment” shall include any structure, building or equipment used by an electric company, transmission company, distribution company, gas company or railroad in the operation of its business. A contribution or other voluntary payment not required to be made to use such land shall not be considered a charge or fee within the meaning of this section.
